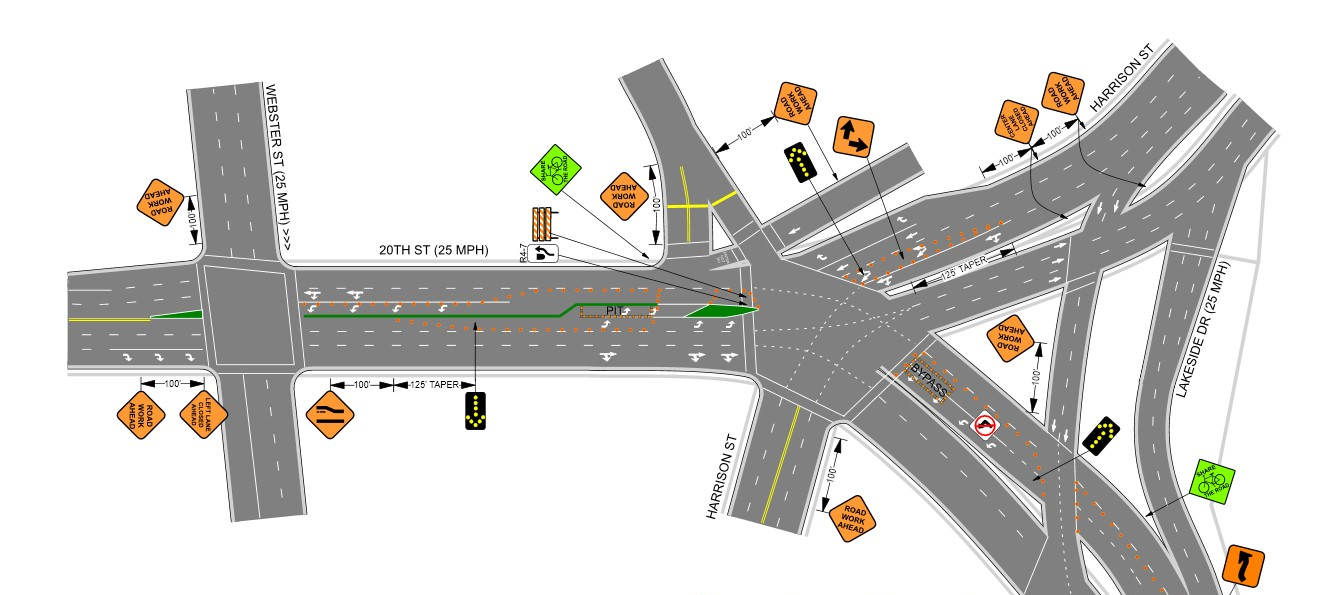
What Is A Traffic Management Plan?

A traffic management plan is an in-depth report that describes how vehicle and pedestrian traffic will be controlled around a worksite. These plans include all necessary strategies and safety measures to maintain order and avoid risks.
Each TMP we deliver covers:
✔ Site-specific details and risk assessments
✔ Lane closure setups and detour routes
✔ Use of proper traffic control devices (TCDs)
✔ Signage plans and flagging operations
✔ Clear access for emergency vehicles

Why You Should Consider Investing In a Traffic Management Plan NSW?
Our Plans Ensure:
✔ Compliance with local laws and standards
✔ Minimal disruption to public access and businesses
✔ Reduced risk of accidents and work zone intrusions
Flexible Solutions For Complex Traffic Challenges
We develop custom Traffic Control Plans that fit your exact requirements.
✔ Temporary road closures and speed reduction zones
✔ Pedestrian management and crossing control
✔ Access control for residents and deliveries
✔ Efficient vehicle queue management
Creating Safer Roads With Expert Safety Plans
Our Traffic Safety Management Plans are built around prevention. We integrate protective tools and smart planning to reduce risks to workers, drivers, and pedestrians.Key safety inclusions:
✔ Clearly marked work zone boundaries
✔ Strategic placement of safety barriers
✔ Emergency access lanes are always open
✔ Staff trained in work zone safety protocols
Dynamic Flow Management For Better Mobility
We create efficient Traffic Flow Management Plans that reduce congestion and improve travel times.
✔ Detailed traffic pattern forecasting
✔ Public communication to inform nearby residents
✔ Public communication to inform nearby residents
✔ Public communication to inform nearby residents
From Planning To Execution
Our Services Include:
✔ Temporary Traffic Control Plan (TTCP) implementation
✔ Real-time traffic monitoring
✔ Accessibility compliance for public access
✔ Ongoing updates during each project phase

Our Team Covers It All - Planning, Safety, & Efficiency
Reach us out today to discuss your traffic problems so we can provide you with a strategically designed traffic plan.